Oferta nr GS-28482

cena 799999 zł
rodzaj Dzialka
typ Sprzedaż
lokalizacja: Wieściszowice
powierzchnia 27094.00 m2
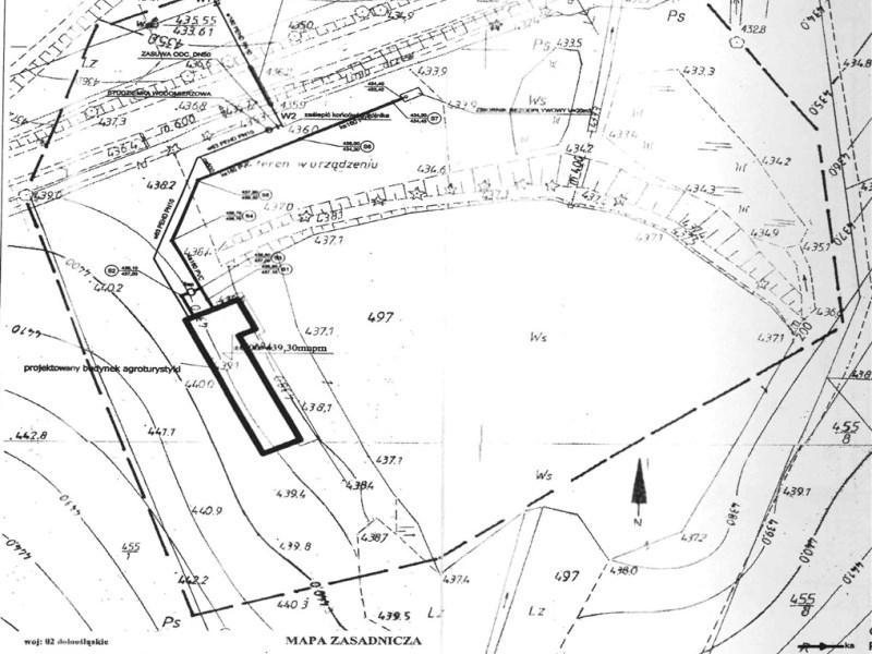
Rudawy Janowickie - Spokojne miejsce do życia i biznesu!   - 2,7 ha !!! - aktualny dziennik budowy!!!   Przedstawiam Państwu wyjątkową nieruchomość w malowniczej miejscowości Wieściszowice. Niezwykle urokliwe miejsce, które może przyciągać zarówno osoby szukające spokojnego miejsca do życia, jak i inwestorów zainteresowanych rozwojem obiektów turystycznych. Działka o powierzchni 27094 m² daje wiele możliwości aranżacji przestrzeni – można tu zbudować komfortowe domy, pensjonaty lub ośrodki wypoczynkowe. Warto zwrócić uwagę na walory przyrodnicze i lokalne atrakcje, które mogą dodatkowo zwiększyć atrakcyjność tej lokalizacji. Kluczowe cechy nieruchomości: Duży staw: Doskonałe miejsce do relaksu i rozrywki na świeżym powietrzu. Otoczenie: Cała nieruchomość jest otoczona zielenią, polami i lasami, co tworzy niepowtarzalny klimat. Rudawski Park Krajobrazowy: W pobliskiej odległości, idealne miejsce dla miłośników natury i spacerów. Dostęp: Wjazd z drogi publicznej z utwardzonym gruntem. Warunki zabudowy: Zostało wydane pozwolenie na budowę oraz prowadzony jest dziennik budowy dla budynku o poniższych parametrach: Intensywność zabudowy: 0,08-0,16 Forma architektoniczna: Bryła w kształcie litery L Szerokość elewacji frontowej: 15 m ± 20% Wysokość elewacji: 3m-4m Dach: Dwuspadowy, wysokość kalenicy: 7,0 m - 9,0 m, kąt nachylenia 35 - 42º Miejsca postojowe: 7 miejsc, w tym jedno dla osoby niepełnosprawnej ISTNIEJE MOŻLIWOŚĆ ZMIANY PROJEKTU Z UWZGLĘDNIENIEM INDYWIDUALNYCH PREFERENCJI !!!! Dodatkowe informacje: Możliwość dokupienia działek sąsiednich. Media: Przyłącza do sieci wodno-kanalizacyjnej oraz energetycznej znajdują się w ulicy. Chcesz wiedzieć więcej? Zapraszam do kontaktu oraz na prezentację tej niezwykłej nieruchomości!

dane agenta Małgorzata Kuras
licencja: 12484
+48 514 600 107
wyślij email

Wyszukiwarka

Mieszkania na sprzedaż

Mieszkania na wynajem

Domy na sprzedaż

Domy na wynajem

Działki na sprzedaż

Działki na wynajem

Lokale na sprzedaż

Lokale na wynajem

Hale na sprzedaż

Hale na wynajem

Obiekty na sprzedaż

Obiekty na wynajem

O firmie

Kontakt

przejdź do pełnej wersji strony
zobacz także
© ABN STĘPIEŃ NIERUCHOMOŚCI
wykonanie: Aplikacje internetowe Galactica